”Dogs of medium and large size of breed can suffer from a condition called lumbosacral transitional vertebrae (LTV), which means that the dog has a malformed vertebra in the caudal end of the spinal cord. Different types of LTV exist and radiographic screening is used to determine the form of LTV in dogs. The disorder can be seen right after birth and it is hereditary.”
tp://www.akcchf.org/research/research-portfolio/02606.html
Välimuotoinen lanne-ristinikama (LTV) ei itsessään ole sairaus, vaan synnynnäinen nikamaepämuodostuma, jota koira ei välttämättä oireile koskaan. Useimmat rhodesiankoirat elävät täysin normaalin elämän huolimatta LTV-muutoksesta. Huono-onnisemmat voivat oireilla monin tavoin esimerkiksi ontumalla tai haluttomuudella hypätä. LTV-muutoksen aiheuttamat ongelmat voivat ilmetä myös epätasaisesti kehittyneenä takaosan lihaksistona.
Tällä hetkellä LTV-kuvauksia tehdään Suomen lisäksi ainakin Saksassa, Itävallassa, Tsekissä ja Slovakiassa. Arvosteluasteikot eivät ole identtisiä ja Suomen Kennelliitolla on ainoana täysin avoin tietokanta terveystuloksista.

LTV:n yleisyys eri roduissa vaihtelee ollen 0 %-40 %. Eniten LTV:tä esiintyy saksanpaimenkoirissa, joilla osuus on jopa 40 % (Lappalainen A. 2013). Rhodesiankoirilla esiintyvyys on lähes yhtä suuri; KoiraNetin mukaan 35,6 % rhodesiankoirista on jonkin asteen LTV-muutos (lokakuu 2020). Luvut ovat joihinkin maihin verrattuina korkeita, osin arvostelukäytäntöjen eroista johtuen. Parsonrussellterriereillä tehdyssä tutkimuksessa (Järvinen P. 2019) välimuotoisten nikamien osuus oli 30 %. Tässä tutkimuksessa havaittiin myös yhteys välimuotoisten lanne-ristinikamien ja muiden nikamaepämuodostumien (VA) välillä. Tästä johtuen kaikkia selkämuutoksia tulisikin mahdollisesti katsoa yhtenä kokonaisuutena.
Kirahvit ovat kauniita, erittäin pitkäkaulaisia villieläimiä. Mutta kuinka monta kaulanikamaa niillä onkaan?
Jotta voidaan tietää onko koiralla LTV tai ei on se röntgenkuvattava. Koiran selän pituus, lantion kulma, kinnerkulma tai mikään muukaan koiran ulkoisessa olemuksessa ei anna viitteitä siitä miten lanne-ristinikama on muodostunut. Koiralla, jolla on kahdeksan lannenikamaa, on täsmälleen sama nikamien kokonaismäärä kuin koiralla, jolla lannenikamia on seitsemän. Tällaisessa tapauksessa kahdeksas lannenikama on vain ominut itselleen toisen nikaman muodon!
Takaisin kirahviin. Valtaosalla nisäkkäsistä, mukaanalukien koirilla, on 7 kaulanikamaa. Ja niin on kirahvillakin. Kaulan pituus ei ole riippuvainen nikamien lukumäärästä vaan nikamien koosta!

LTV altistaa ennenaikaiselle lanne-ristoliitosalueen rappeutumisella, on yleinen cauda equinalle altistava tekijä erityisesti saksanpaimenkoirilla ja sen uskotaan olevan perinnöllistä.
Lappalainen A., Salomaa R. et al (2012)
Kuvaamalla kaula-, rinta- ja lannerangan sekä ristiluun voi saada selkälausunnon LTV:stä, spondyloosista ja epämutoisista nikamista (VA). LTV- ja VA-lausunnon saa 12 kk ikäiselle koiralle ja spondyloosilausunnon 24 kk ikäiselle. Kennelliiton ohje selkärangan kuvaamiseen: https://www.kennelliitto.fi/lomakkeet/selkarangan-kuvauksen-suoritus
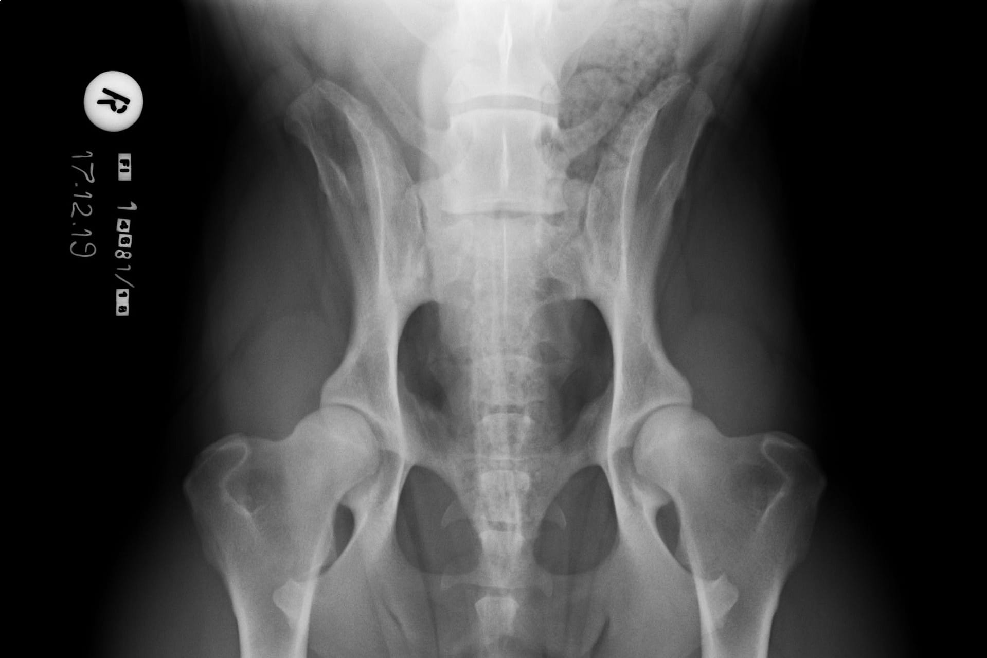
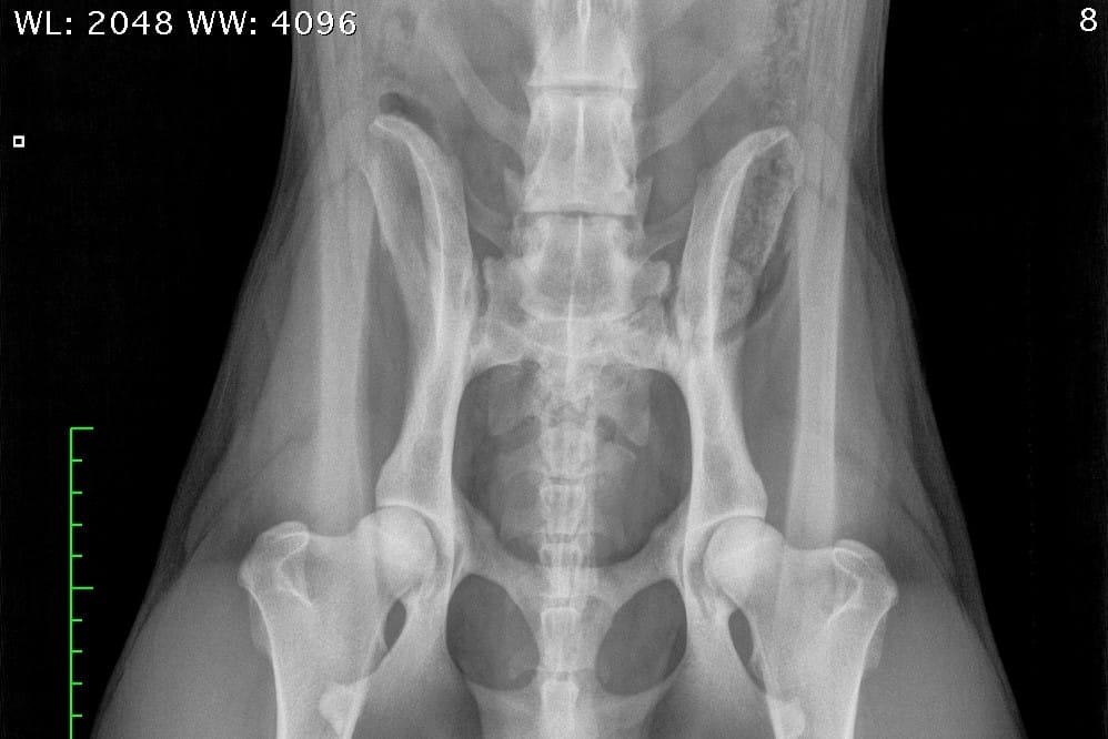
NORMAALI SELKÄRANKA
Koiran normaali selkäranka koostuu seitsemästä kaulanikamasta (C1-7), kolmestatoista rintanikamasta (T1-13), seitsemästä lannenikamasta (L1-7) ja kolmesta ristinikamasta (S1-3). Nikamien laskenta aloitetaan ensimmäisestä rintanikamasta (T1). Häntänikamien CD) määrä vaihtelee.

© Anu Lappalainen
Ristiluu yhdistää lannerangan lantioon. Se on osa lantiota, joka sijoittuu lannerangan ja hännän väliin. Lonkkaluiden väliin asettuva ristiluu on vahva ja kolmiomainen muodoltaan. Normaali ristiluu koostuu kolmesta yhteenluutuneesta nikamasta; S1, S2 ja S3.



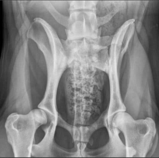
Suomen Kennelliiton LTV-luokittelu
13+7+3 = Normaali määrä nikamia
13+8+3 = LTV4 (lumbarisaatio)
13+6+3 = LTV4 (sakralisaatio)
12+8+3 = LTV0+VA1 (välimuotoinen T13)
14+6 +3= LTV0, VA1 (välimuotoinen L1)
LTV0; normaali


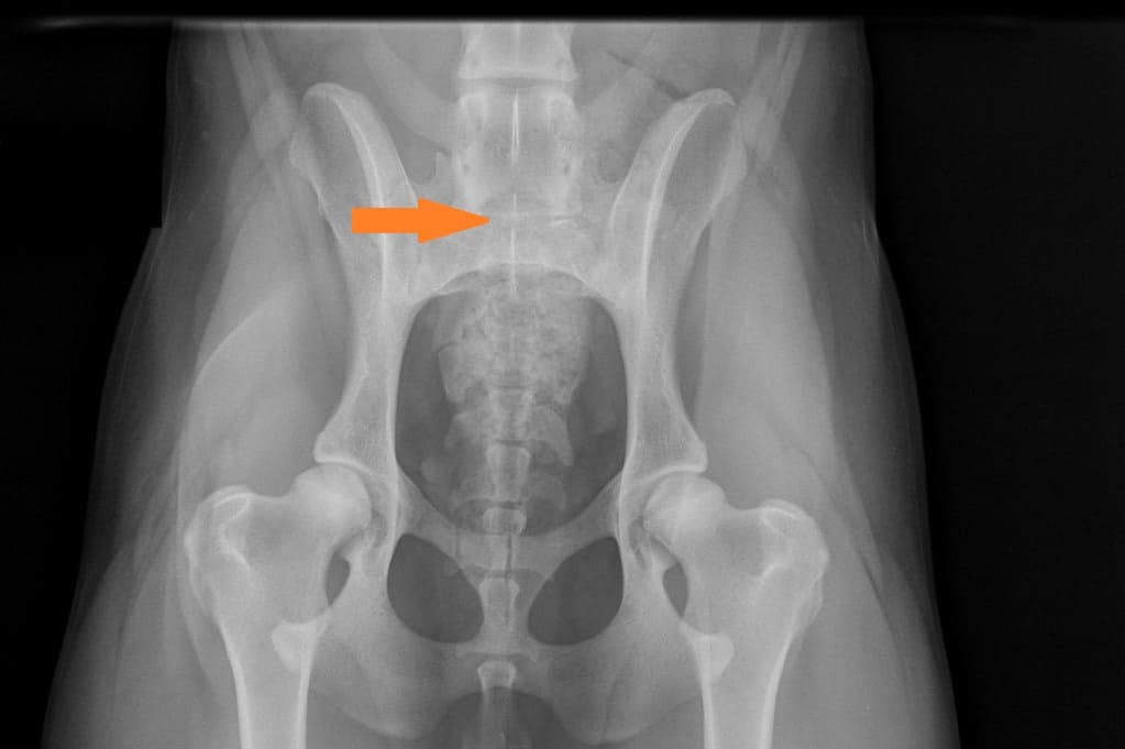
LTV1; jakautunut ristiluun keskiharjanne s1-s2 ( tai muu lievästi normaalista poikkeava rakenne, esimerkiksi kahdesta tai neljästä nikamasta koostuva ristiluu)


LTV2; symmetrinen


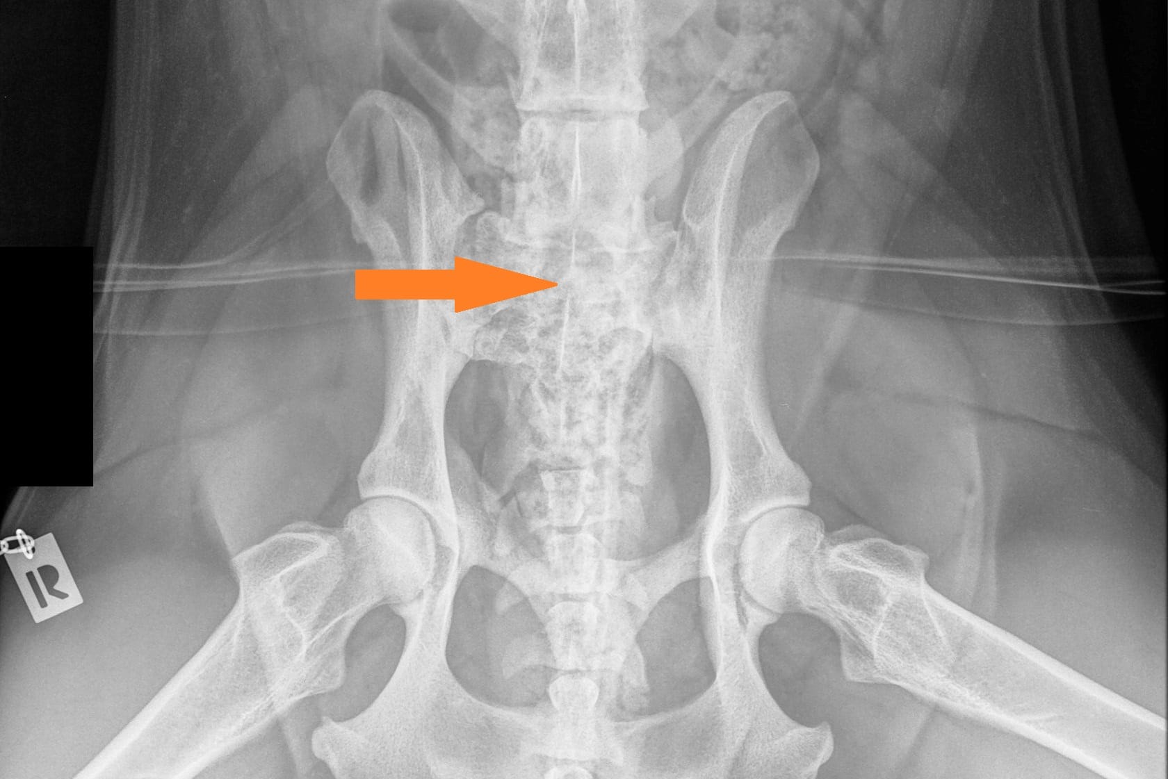
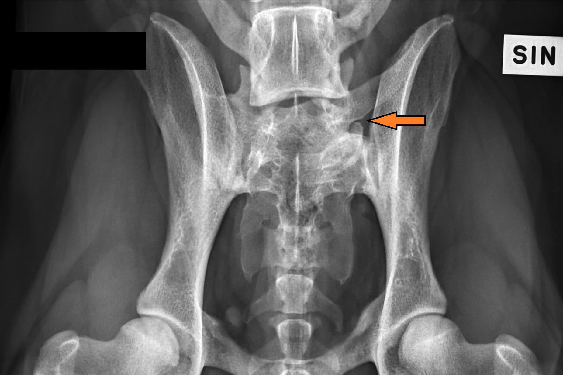
LTV3; epäsymmetrinen; oikeanpuoleisessa VD-kuvassa S1 on vasemmalla puolella ristinikaman ja oikella puolella lannenikaman kaltainen okahaarakkeen kera.


LTV4; 8 lannenikamaa. L8 on puhdas lannenikama ja siinä on normaalit okahaarakkeet.


Kliininen merkitys
LTV altistaa esimerkiksi varhaiselle välilevyrappeumalle, välilevypullistumalla ja cauda equina-syndroomalle. Tietoa esimerkiksi cauda equinasta kärsivien rhodesiankoirien tilanteesta ei ole; onko näillä yksilöillä kentien ollut LTV? Omaan käsitykseni mukaan rhodesiankoirilla on harvoin välimuotoisesta nikamasta johtuvia kliinisia oireita, mutta myös oireilevia yksilöitä on olemassa. Hyvin harvoilla rhodesiankoirilla LTV on johtanut lopetukseen sen oltua ainoa järkevä vaihtoehto koiran tilanteessa.
Kirjallisuutta on saatavilla vielä kovin vähän, mutta jakautuneen ristiluun keskiharjanteen oletetaan olevan yksilölle täysin harmiton. 6/8 lannenikaman on joissain lähteissä arvioitu olevan epäoleellinen sivulöydös, kun toiset lähteet arviot sen riskiksi varhaiselle lanne-ristiliitoksen degeneraatiolle.

© Anu Lappalainen
LTV3, epäsymmetrinen lanne-ristinikama näyttää olevan muita muotoja harmillisempi. Joissain tapauksissa epäsymmetriseen lanne-ristinikamaan liittyy vino lantio, joka saattaa aiheuttaa myös lonkkien epätasaista kehitystä. Tämä on varsin loogista; kun lantio on vino kohdistuu paine lonkkamaljoille epätasaisesti. Pidemmän ajan kuluessa epätasapaino voi kuluttaa toista lonkkamaljaa nopeammin ja aiheuttaa tätä kautta nivelrikkoa.
KoiraNetin mukaan 38,9% LTV3-lausunnon saaneista rhodesiankoirista on saanut lonkkien osalta lausunnon, jossa toinen lonkka on 1-2 astetta toista huonompi, esimerkiksi A/C (lokakuu 2020). Tutkimustulos LTV3 ei kerro koiran lantion asentoa.
”Asymmetrical LTV favours pelvic rotation over its long axis, resulting in inadequate femoral head coverage by the acetabulum on one side. Inadequate coverage of the femoral head favours subluxation, malformation of the hip joint, and secondary osteoarthritis. Asymmetrical hip conformation may therefore be the sequela of a LTV and mask or aggravate genetically induced canine hip dysplasia.”
(Flückiger M., Frank Steffen F. et al 2017)
SPONDYLOOSI
Rhodesiankoirilla esiintyy myös spondyloosia, joka on selkärangan rappeumasairaus. Jonkinasteisen LTV:n omaavat rhodesiankoirat näyttävät olevan alttiimpia spondyloosille kuin spondyloosivapaat yksilöt. 253 selkäkuvatuista rhodesiankoirista 25 (9,9 %) on myös spondyloosi (joulukuu 2019). 7/253 ei ole lainkaan spondyloosilausuntoa useimpien ollessa liian nuoria spondyloosilausunnon saadakseen. Verrattuna normaalin lanne-ristinikaman omaaviin yksilöihin LTV1-LTV4-lausunnon saaneilla koirilla näyttää olevan kaksinkertainen riski spondyloosiin. Kuitenkin 25 koiran joukko on vielä liian pieni johtopäätösten tekemiseen. Selkäkipuisen koiran kohdalla voi olla haastavaa erotella LTV-muutoksesta ja spondyloosista aiheutuvaa kipua. .


Periytyminen
Toistaiseksi rhodesiankoirien LTV:stä ei ole tutkimuksia, ja eri rotujen välillä on eroja. Saksanpaimenkoirilla tehtyjen tutkimusten valossa LTV:n katsotaan olevan perinnöllistä. LTV:n geneettinen tausta on vielä epäselvä. Koirangeenit.fi-tutkimusryhmällä on käynnissä tutkimus, jotta LTV:lle altistavat geenit saataisiin tunnistettua.
Rodun geenipooli on maailmanlaajuisesti pieni, ja on hyvin oletettavaa, että selkäterveystilanne on hyvin samankaltainen joka puolella.
Suomen koirakanta edustaa linjoja monipuolisesta ympäri maailmaa ja ”ei minun linjoissani” ei päde tähänkään. Jos et ole tutkinut et voi tietää onko koirallasi jokin selkämuutos vai ei.
Jalostussuositukset
Suomessa kaikki jalostukseen käytettävät rhodesiankoirat on selkäkuvattava. PEVISAn mukaiset pakolliset lausunnot ovat LTV ja SP; mutta myös VA-lausunnon tilaamista kannattaa harkita. Nykykäsityksen mukaan kaikki selän muutokset ovat jollain tavalla yhteydessä toisiinsa. Raja-arvoja jalostuskäytölle ei ole, mutta selkämuutoksen omaava yksilö suositellaan yhdistettäväksi vain yksilöön, jolla muutoksia ei ole. Oireileva koira on jätettävä poikkeuksetta pois jalostuksesta.
LTV SUOMALAISISSA RHODESIANKOIRISSA
Suomen Kennelliitto on antanut LTV-lausuntoja vuodesta 2013, ja vuodesta 2018 selkäkuvaaminen on ollut rhodesiankoirien PEVISAssa pakollisena terveystutkimuksena kaikille jalostuskoirille. Vuoden 2020 lopussa Suomessa oli 306 LTV:n osalta tutkittua rhodesiankoiraa. Populaation laskennallisen koon ollessa 861 koiraa on 30 % populaation koirista selkäkuvattu LTV:n osalta (joulukuu 2019).
Jokin LTV-muutos löytyi 35,6 %:lla kuvatuista koirista. 6/8 lannenikamaa luokitellaan LTV:ksi vain Suomessa. LTV1-LTV3 tulos on 27,5 % selkäkuvatuista rhodesiankoirista.

Muutoksista 49,5% on saanut lausunnon LTV1, joka on jakautunut ristiluun keskiharjanne (s1-s2) tai muu lievästi normaalista poikkeava rakenne. Tämä on LTV-muutoksista lievin ja sen oletetaan olevan koiralle täysin harmiton, mutta jalostuksessa silti huomioita löydös. ”Muu lievästi normaalista poikkeava rakenne on esimerkiksi ensimmäisen häntänikaman luutuminen sacrumiin (S3).
Toiseksi suurin osuus on 22,9% LTV4 (6/8 lannenikamaa). Useimmilla näistä lannenikamia on 8 (lumbarisaatio).
LTV3-löydöksiä on 16,5 % ja LTV2-löydöksiä 11 %.

yhteenveto
LTV:n yleisyys vaihtelee roduittain, kuten myös sen kliininen merkitys yksilölle. Rhodesiankoirilla on varmasti vähemmän kliinisiä oireita kuin saksanpaimenkoirilla. Johtopäätösten tekemiseksi tarvitaan kuitenkin lisää tietoa. Jo nyt tiedetään, että LTV ja muut nikamapoikkemat ovat perinnöllisiä. Rhodesiankoiran säilymiseksi ketteränä, kykenevänä ja monipuolisena harrastuskoirana on oma suositukseni ottaa selkäkuvaus osaksi jokaisen yksilön terveystutkimuksia ja jalostussuositukseksi kaikissa maissa.
Rhodesiankoirien LTV:n, cauda equina -syndrooman ja muiden selkälöydösten yhteyden selvittämiksi tulen julkaisemaan kyselyn, kunhan aikataulu antaa myöten..
Kiitokset
Kiitos kaikille niille rhodesiankoiranomistajille, jotka ovat jakaneet kanssani tietoa koiransa selkäterveydestä ja antoivat röntgenkuvia käyttööni!
© 2021 Nina Lindqvist All Rights Reserved
Lähteet ja lukemista:
http://www.akcchf.org/research/research-portfolio/02606.html
https://helda.helsinki.fi/bitstream/handle/10138/39292/dissertation_lappalainen.pdf?sequence=1
https://pdfs.semanticscholar.org/ad22/73c9eb3fe12ad0d56e76104c971e205224fc.pdf
