“Grief is like the ocean; it comes on waves ebbing and flowing. Sometimes the water is calm, and sometimes it is overwhelming. All we can do is learn to swim.” ― Vicki Harrison Kesäkuussa 2021 Iivo sairastui äkillisesti ja yllättäen. Kaikista yrityksistä huolimatta Iivo kuoli neljän tehohoidossa vietetyn vuorokauden jälkeen. Se oli läpäissyt laajan terveystarkastuksen helmikuussa 2021, ja olikin shokki saada ruumiinavauksessa tieto aggressiivisesta T-solu lymfoomasta, mikä oli levinnyt lähes kaikkiin elimiin. Iivo taisteli kovin, mutta vailla minkäänlaisia mahdollisuuksia. Elämäni Koira otettiin minulta pois aivan liian varhain. <3
Iivo on Hildan ensimmäisen pentueen esikoinen. Iso, vahva, itsenäinen ja itsepäinen. Samalla erittäin iloinen ja aina puuhaamassa jotain. Riistavietti on voimakas ja se voisi juosta riistan perässä tuntikausia. Iivo tasapainoinen, maltillisesti kulmautunut ja sillä on upeat liikkeet, joissa on erinomainen askelpituus ja draivi.
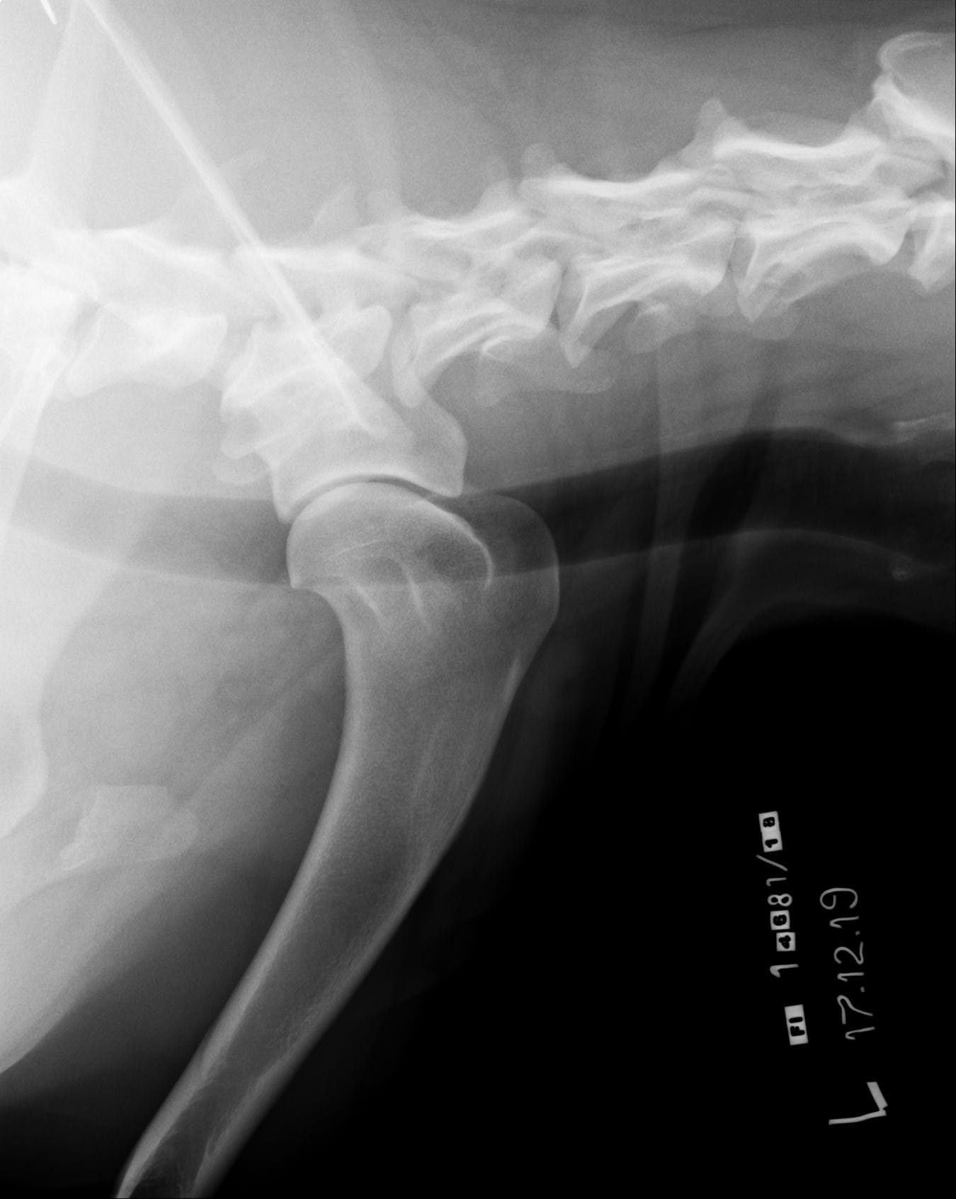
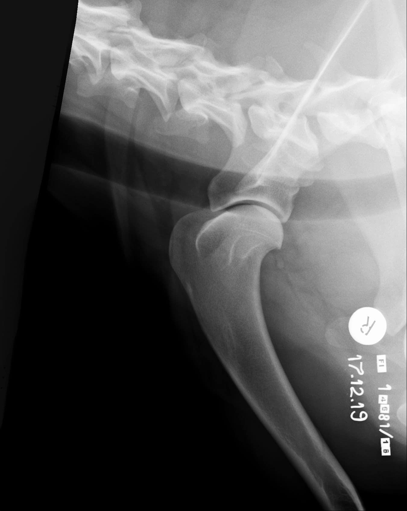
Tähän mennessä Iivo on ollut täysin terve ja Iivo tutkittiin luustoltaan terveeksi joulukuussa 2019. Luonnekuvaukseen (MH, laukausvarma) Iivo osallistui elokuussa 2020.

| Nimi: | BISS, C.I.B., FI MVA, S MVA, N MVA, EE MVA, HeJV-18 Lumottu Hildasønn Ivar Av Utah |
| Synt: | 16.12.2017 - 16.6.2021 |
| Korkeus: | 71 cm |
| Paino: | 48 kg |
| Ridge: | R/r |
| Väri: | Punainen-vehnänvärinen |
| Purenta: | Täysi saksipurenta |
| Maksageeni: | B/b (kantaja) |
| Tan-merkit (at): | T/T (ei kanna) |
| Diluutio (d2): | G/G (ei kanna) |
| JME: | N/N |
| DM: | N/N |
| EOAD: | N/N |
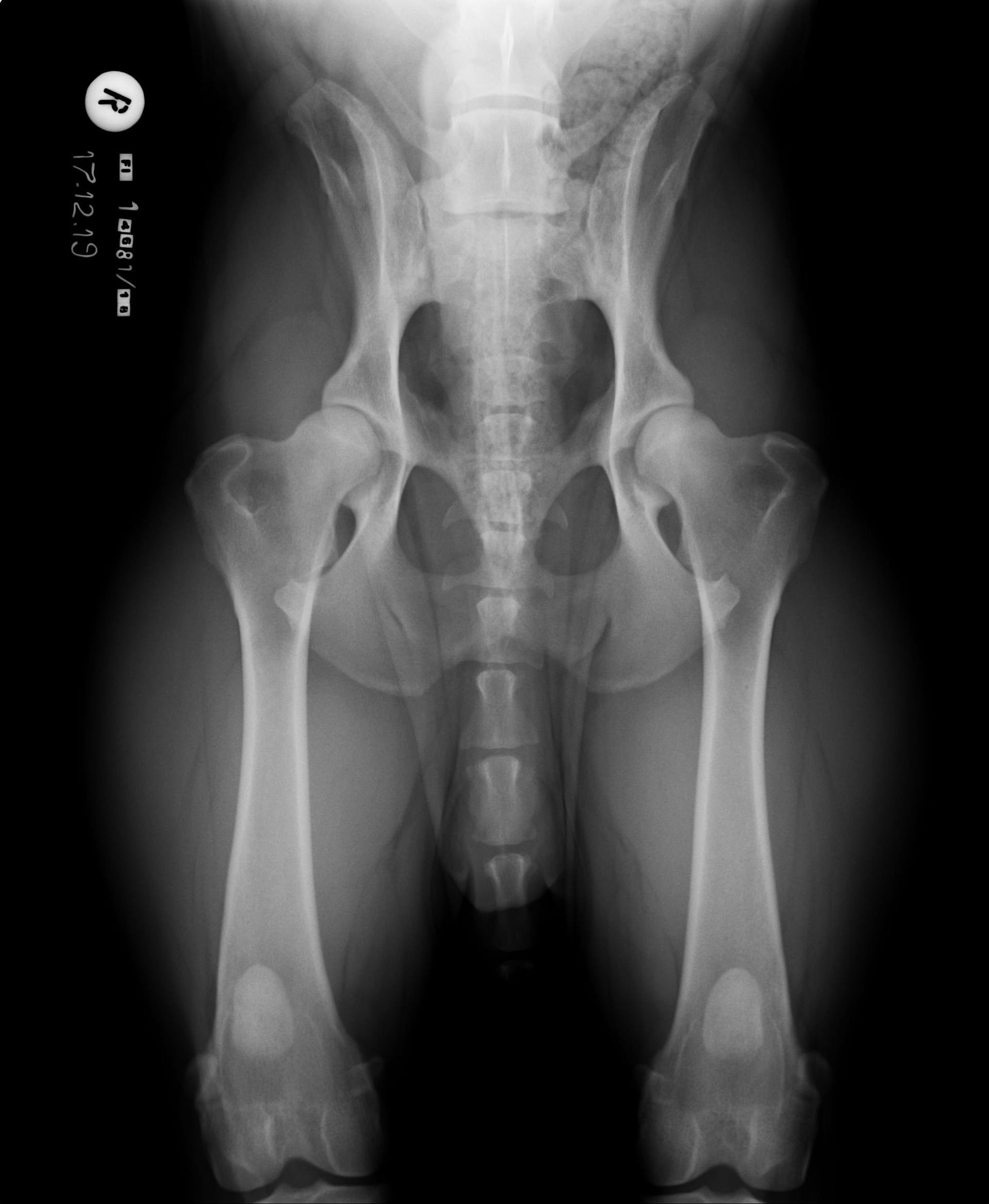
| Lonkat: | A/A |
| Kyynärät: | 0/0 |
| Olat: | Ei todettu/ Ei todettu |
| Selkä: | LTV0, SP0, VA0 |
| BISS, C.I.B. FI MVA, S MVA, N MVA, EE MVA |
| Helsingin Juniori Voittaja -18 |
| BIS4 x 2 |
| RYP1 x 2 |
| RYP2 |
| CACIB x 5 |
| FI SERT x 15 |
| NORD SERT x 3 |
| BISS-2020 (Norja) |
| Portinvartijan Malja 2019 |
| #3 Show Ridgeback 2019 |
| #5 Show Ridgeback 2018 |
| ROP SRB:n Open showssa 2019 |
| Paras pää SRB:n Open showssa 2019 |
| Parhaat liikkeet SRB:n Open showssa 2019 |
| Paras ridge SRB:n Open showssa 2018 |


Iivon näyttelyura lähti käyntiin upeasti. Pentuluokissa Iivo oli 7 x ROP-pentu. Vuonna 2019 Iivo on saavutti lukuisia ROP-sijoituksia ja onnistui peräti kahdesti sijoittumaan BIS-kehässä, Oulun kansainvälisessä koiranäyttelyssä ja Porvoon kaikkien rotujen näyttelyssä. Iivolla on Suomesta 15 sertiä ja 3 NORD-sertiä, 1 Ruotsin serti ja yksi Viron serti. CACIBeja on kertynyt tähän mennessä Suomesta 3 sekä Ruotsista ja Virosta 1. Hienon näyttelyvuoden 2019 kruunasi Suomen Ridgeback-yhdistyksen jakama kiertopalkinto Portinvartijan Malja. Heinäkuussa 2020 Iivo saavutti viimeisen Kansainvälisen muotovalionarvoon vaadittavan CACIBin.
Kesällä 2020 Iivo menestyi upeasti Norjassa, jossa se voitti peräti kaksi Norsk Ridgeback Klubbenin erikoisnäyttelyä. Pääerikoisnäyttelyn, BISS 2020, arvosteli norjalainen Svein Helgesen.


^Iivo ROP-kilpailussa Helsingin NORD-näyttelyssä syyskuussa 2019
Syyskuussa 2019 Iivo osallistui ensimmäiseen maastojuoksu-kilpailuunsa Helsingissä, ja onnistui ensikilvassaan todella hienosti voittamalla kilpailun 449 pisteellä. Iivosta tuli samalla Helsingin Vinttikoirakerhon maastomestari.
Toivottavasti Iivo nähdään vielä monissa juoksukilpailuissa!





































