
Pennut syntyivät 19.4.2021, 4 urosta ja 3 narttua (1 ridgetön, 1 piilokruunu, ei DS tai häntämutkia). Pentueen isä on kennelin oma kasvatti Lumottu Hildasønn Ivar Av Utah”Iivo” ja emä italiantuonti Harmakhis Wisdom Amarone Mme Chanel. Pentue toteutettiin yhteistyössä kennel Finnridgen Leni Finnen kanssa, joka omistaa Chanelin.
Seuraa Pentupäiväkirjassa pentujen polkua syntymästä uusiin koteihin! Kaikki tiedot 3rd Editionin koirista löydät niiden omalta sivulta.


Synt:
Isä:
Emä:
16.12.2017
Exgate’s Unique Utah By Nelvis
Aries Khan Margaret Tatcher Of Lumottu
Synt:
Isä:
Emä:
22.10.2016
Ridgerule’s Ifa My Treasure
Harmakhis Wisdom Quasha


| Lonkat: | A/A | ||
| Kyynärät: | 0/0 | ||
| Olat: | Ei todettu/Ei todettu | ||
| Selkä: | LTV0, SP0, VA0 | ||
| DM: | N/N | ||
| JME: | N/N | ||
| EOAD: | N/N | ||
| Diluutio: | G/G |
Näyttelyissä Iivo on menestynyt hyvin ja se on saavuttanut useita valionarvoja. Elokuussa 2020 Iivo suoritti MH-kuvauksen erinomaisin tuloksin.
Iivosta lisää sen omalla sivulla.
| Lonkat: | A/C | ||
| Kyynärät: | 0/0 | ||
| Olat: | Ei todettu/Ei todettu | ||
| Selkä: | LTV3, SP0, VA0 | ||
| DM: | N/N (sukutaulun perusteella) | ||
| JME: | N/N (sukutaulun perusteella) | ||
| Diluutio: | G/G (sukutaulun perusteella) |
Chanel osallistui ensimmäisiin näyttelyihinsä vasta syyskuussa 2020. Se palkittii kaikissa kolmessa näyttelyssään laatupalkinnolla erinomainen sertin kera ja näin Chanelista tuli muotovalio minimimäärällä näyttelyitä. MH-luonnekuvaukseen Chanel osallistui elokuussa 2021.
| Name | ID | Syntymäpaino | Ridge | Korkeus | Paino | Purenta | Lonkat | Kyynärät | Olat | Selkä | MH | Other |
|---|---|---|---|---|---|---|---|---|---|---|---|---|
| Lumottu Uljas Iivonpoika ft. Finnridge | Sininen ♂︎ | 505 g | Ok | TBA | TBA | TBA | B/B | 0/0 | Ei todettu/Ei todettu | LTV1, SP0, VA1 | MH, laukausvarma | Low-grade MCT poistettu 06/2024 |
| Lumottu Aatos Iivonpoika ft. Finnridge | Turkoosi ♂︎ | 530 g | Ok | TBA | TBA | TBA | B/B | 0/0 | Ei todettu/Ei todettu | LTV2, SP0, VA0 | MH, laukausvarma | |
| Lumottu Martta Iivontytär ft. Finnridge | Lime ♀︎ | 525 g | Ok | TBA | TBA | TBA | A/A | Röntgen: 0/0 CT: 3/1 | Ei todettu/tulkinnanvarainen | LTV0, SP0, VA0 | MH, laukauskokematon (3) | |
| Lumottu Armas Iivonpoika ft. Finnridge | Oranssi ♂︎ | 440 g | Ok | TBA | TBA | TBA | A/A | 0/0 | Ei todettu/Ei todettu | LTV0, SP0, VA0 | MH, laukauskokematon (3) | |
| Lumottu Aulis Iivonpoika ft. Finnridge | Aqua ♂︎ | 440 g | Ok | TBA | TBA | TBA | B/B | 1/1 | Ei todettu/Ei todettu | LTV1, SP0, VA0 | Ohjaaja keskeytti | |
| Lumottu Irma Iivontytär ft. Finnridge | Pinkki ♀︎ | 550 g | Ok | TBA | TBA | TBA | C/B (matalat lonkkamaljat) | 0/0 | Ei todettu/Ei todettu | LTV0, SP0, VA0 | Tulossa 2024! | |
| Lumottu Sirkka Iivontytär ft. Finnridge | Pannaton ♀︎ | 390 g | Ridgetön | TBA | TBA | TBA | A/A | 0/0 | Ei todettu/Ei todettu | LTV1, SP0, VA0 |


Lumottu Uljas Iivonpoika ft. Finnridge – DUNDEE








Lumottu Aatos Iivonpoika ft. Finnridge – URHO

| Nimi: | FI JMVA Lumottu Aatos Iivonpoika ft. Finnridge | |
| Syntymäaika: | 19.4.2021 | |
| Isä: | Lumottu Hildasønn Ivar Av Utah | |
| Emä: | Harmakhis Wisdom Amarone Mme Chanel | |
| Korkeus: | TBA | |
| Paino: | TBA | |
| Väri: | punainen-vehnänvärinen | |
| Lonkat: | B/B | |
| Kyynärät: | 0/0 | |
| Olat: | Ei todettu/Ei todettu | |
| Selkä: | LTV2, SP0, VA0 |
MH 10.6.2023, videot
LTE 5.5.2024 108 p. laukasvarma





Lumottu Armas Iivonpoika ft. Finnridge – RUDO

| Nimi: | FI MVA, FI JMVA Lumottu Armas Iivonpoika ft. Finnridge |
| Syntymäaika: | 19.4.2021 |
| Isä: | Lumottu Hildasønn Ivar Av Utah |
| Emä: | Harmakhis Wisdom Amarone Mme Chanel |
| Korkeus: | TBA |
| Paino: | TBA |
| Väri: | punainen-vehnänvärinen |
| Lonkat: | A/A |
| Kyynärät: | 0/0 |
| Olat: | Ei todettu/Ei todettu |
| Selkä: | LTV0, SP0, VA0 |









Lumottu Martta Iivontytät ft. Finnridge – MARTTA

| Nimi: | FI MVA, FI JMVA Lumottu Martta Iivontytär ft. Finnridge |
| Syntymäaika: | 19.4.2021 |
| Isä: | Lumottu Hildasønn Ivar Av Utah |
| Emä: | Harmakhis Wisdom Amarone Mme Chanel |
| Korkeus: | TBA |
| Paino: | TBA |
| Väri: | punainen-vehnänvärinen |
| Lonkat: | A/A |
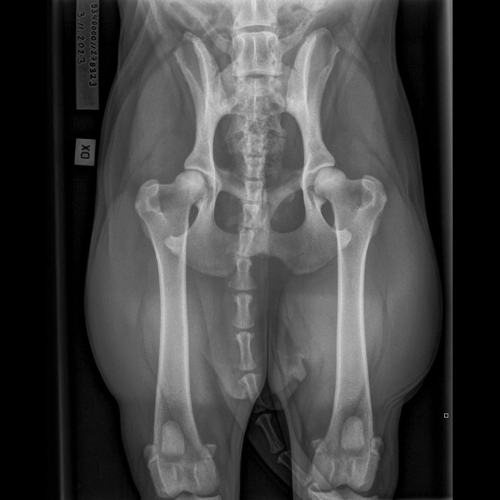
| Kyynärät: | 0/0 (röntgen 3/1 (CT) |
| Olat: | Ei todettu/tulkinnanvarainen |
| Selkä: | LTV0, SP0, VA0 |








Lumottu Aulis Iivonpoika ft. Finnridge – KODA

| Nimi: | Lumottu Aulis Iivonpoika ft. Finnridge |
| Syntymäaika: | 19.4.2021 |
| Isä: | Lumottu Hildasønn Ivar Av Utah |
| Emä: | Harmakhis Wisdom Amarone Mme Chanel |
| Korkeus: | 66 cm |
| Paino: | TBA |
| Väri: | punainen-vehnänvärinen |
| Lonkat: | B/B |
| Kyynärät: | 1/1 |
| Olat: | Ei todettu/Ei todettu |
| Selkä: | LTV1, SP0, VA0 |





Lumottu Irma Iivontytät ft. Finnridge – IRMA
| Nimi: | FI MVA, FI JMVA Lumottu Irma Iivontytär ft. Finnridge |
| Syntymäaika: | 19.4.2021 |
| Isä: | Lumottu Hildasønn Ivar Av Utah |
| Emä: | Harmakhis Wisdom Amarone Mme Chanel |
| Korkeus: | 67 cm |
| Paino: | 39 kg |
| Väri: | punainen-vehnänvärinen |
| Hampaat: | Saksipurenta, kaikki hampaat |
| Lonkat: | C/B (matalat maljat) |
| Kyynärät: | 0/0 |
| Olat: | Ei todettu/Ei todettu |
| Selkä: | LTV0, SP0, VA0 |
Irman osallistuminen MH kuvaukseen syyskuussa 2023 peruutui juoksun vuoksi. Toinen yritys kesäkuussa 2024 peruuntui jälleen juoksun vuoksi.











Lumottu Sirkka Iivontytär ft. Finnridge – SIRKKA
| Nimi: | Lumottu Sirkka Iivontytär ft. Finnridge | |
| Syntymäaika: | 19.4.2021 | |
| Isä: | Lumottu Hildasønn Ivar Av Utah | |
| Emä: | Harmakhis Wisdom Amarone Mme Chanel | |
| Korkeus: | 64 cm | |
| Paino: | 35 kg | |
| Väri: | punainen-vehnänvärinen | |
| Lonkat: | A/A | |
| Kyynärät: | 0/0 | |
| Olat: | Ei todettu/Ei todettu | |
| Selkä: | LTV1, SP0, VA0 |
























