Skip to content
Menu
Home
About
Contact
Dogs
Hilda
Hilda MH
Eino
Kyösti
Sylvi
Champions
Puppy plans & litters
Stats
6th Edition | 2025
6th Edition Puppy Diary
5th Edition | 2024
5th Edition Puppy Diary
4th Edition | 2022
4th Edition Puppy Diary
3rd Edition | 2021
3rd Edition Puppy Diary
2nd Edition | 2019
2nd Edition, videos
1st Edition | 2017
fRRozen dRReams
Rainbow bridge
Eddie
Riina
Vilho
Vilho pedigree
Vilho’s gallery
Iivo
Iivo MH
Oiva
Oiva MH
Offspring
Manwë G-litter, 2015
Aries Khan N-litter
RR Health
Juvenile myoclonic epilepsy (JME)
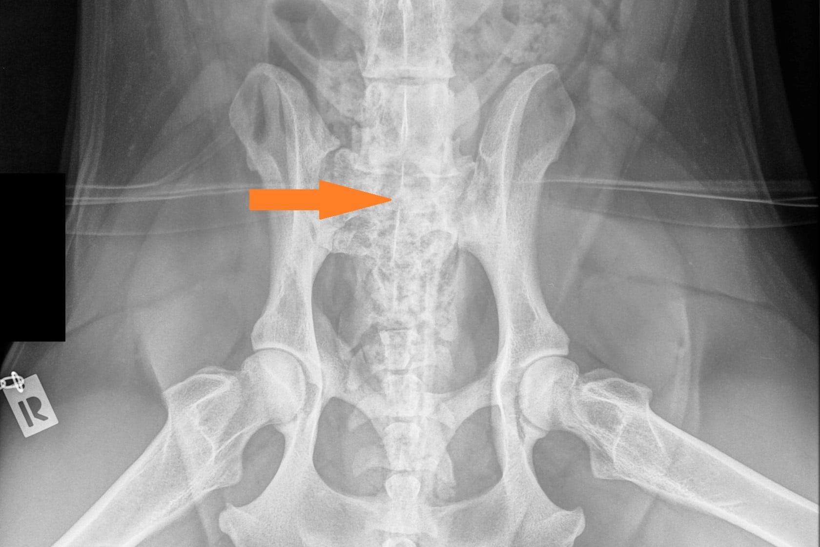
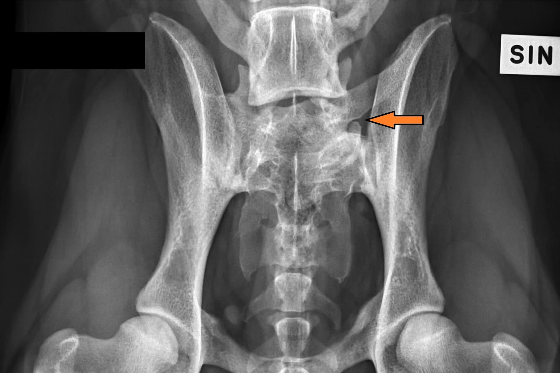
Lumbosacral transitional vertebra (LTV) in Rhodesian Ridgebacks
Blogs
4th Edition Puppy Diary
Oiva’s DLE
Topi’s OCD
Media Category:
Röntgen
LTV3_VD_ARR-3
LTV2_VD_ARR-1
11847233_10153508493378684_186994180_o
11840737_10153508493323684_114432918_o
11827107_10153508493383684_839669109_o
11822043_10153508493438684_2074373697_o
11783671_10153508494368684_873336704_o
VILHO_CR_20100211_192128_8
VILHO_CR_20100211_191934_7
VILHO_CR_20100211_191759_6
Posts pagination
Page
1
Page
2
Page
3
Next page
HTML Snippets
Powered By :
XYZScripts.com
Scroll Up